.
Ενημέρωση σχετικά με την επικείμενη λειτουργία υδατοδρομίου στον Πλατύ Γιαλό Σίφνου το καλοκαίρι του 2022
.
Αγαπητοί φίλοι,
Μετά και τις απορίες που διατυπώθηκαν από φορείς και κατοίκους του Πλατύ Γιαλού για την επικείμενη λειτουργία του υδατοδρομίου το καλοκαίρι του 2022, θα θέλαμε να σας ενημερώσουμε για τα εξής:
- Η διαδικασία χωροθέτησης και αδειοδότησης του υδατοδρομίου στον Πλατύ Γιαλό ξεκίνησε το 2013-2014 από την προηγούμενη διοίκηση του ΔΛΤ.
- Το Δημοτικό Λιμενικό Ταμείο Σίφνου, με τη νέα διοίκηση, προχώρησε στις διαδικασίες για την έκδοση των οριστικών εγκρίσεων – γνωμοδοτήσεων που απαιτούνται από όλες τις συναρμόδιες υπηρεσίες, υπουργεία κ.λπ., τις οποίες και εξασφάλισε. Ο πλήρης φάκελος είναι διαθέσιμος σε φορείς, κατοίκους και οποιονδήποτε άλλο ενδιαφερόμενο στο γραφείο του Λιμενικού Ταμείου και στο Γραφείο Δημάρχου.
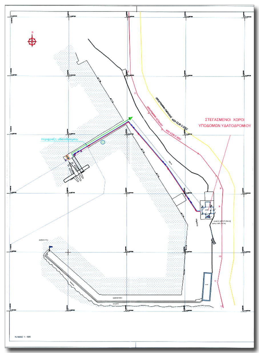
- Τα έργα που πρόκειται να γίνουν στο λιμένα του Πλατύ Γιαλού για τη λειτουργία του υδατοδρομίου θα είναι πολύ μικρής έκτασης. Συγκεκριμένα θα τοποθετηθεί μικρή πλωτή εξέδρα για την πρόσδεση του υδροπλάνου και θα παραχωρηθεί το κτίριο του λιμένα, προκειμένου, με την τοποθέτηση του κατάλληλου εξοπλισμού, να διαμορφωθεί ο χώρος αναμονής και ελέγχου των επιβατών.
- Η προσθαλάσσωση και αποθαλάσσωση του υδροπλάνου θα γίνεται στην είσοδο του όρμου του Πλατύ Γιαλού. Εν συνεχεία, το υδροπλάνο θα συνοδεύεται από σκάφος ασφαλείας ως την πλωτή εξέδρα πρόσδεσης για την αποβίβαση και επιβίβαση των επιβατών. Η διάρκεια της πτήσης από το υδατοδρόμιο του Αλίμου θα είναι περίπου 30 λεπτά και η διαδικασία προσθαλάσσωσης και πρόσδεσης στην πλωτή θα διαρκεί περίπου 3-5 λεπτά.
- Όλες οι δραστηριότητες εντός και εκτός του λιμένα θα συνεχίσουν να λειτουργούν κανονικά και μετά τη λειτουργία του υδατοδρομίου.
- Ο υπάλληλος του Δ.Λ.Τ. θα συνεχίσει να έχει 24ωρη παρουσία στο λιμένα, όπως είχε όλα αυτά τα χρόνια.
Για οποιαδήποτε άλλη διευκρίνιση παραμένουμε στη διάθεσή σας.
Τηλ. επικ.: 6972517462 (Απόστολος Διαμαντής – Πρόεδρος Δ.Σ.)
.
Ο Πρόεδρος του Δημοτικού Λιμενικού Ταμείου Σίφνου
ΑΠΟΣΤΟΛΟΣ ΔΙΑΜΑΝΤΗΣ
.

sifnaiko-fos e-News